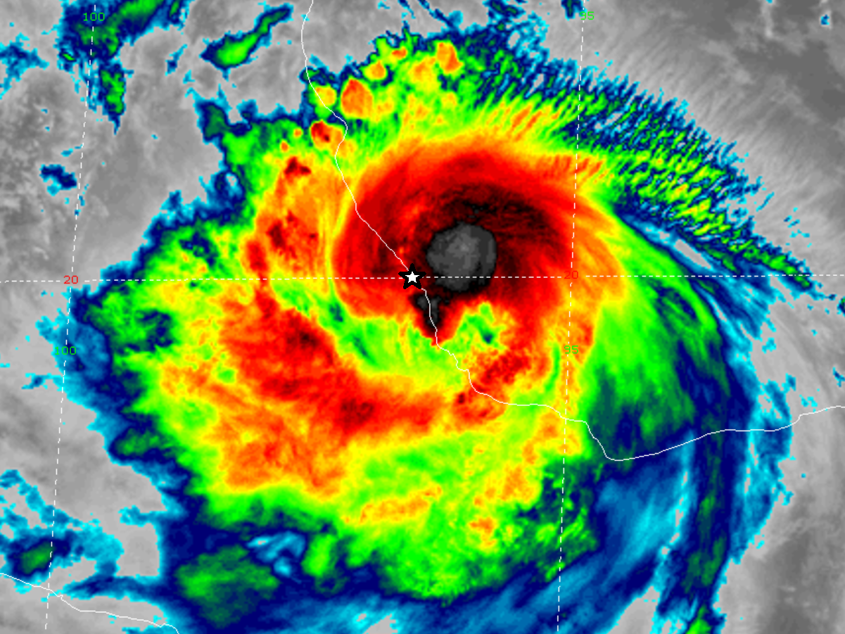
FRANKLIN 2017
Running on Empty—
But Hitting the Bullseye
Location
Vega de Alatorre, Veracruz, MEXICO
Date
09-10 Aug 2017
Intensity
Cat 1 (70 knots)
Partner
Solo
To be determined later…
Running on Empty—
But Hitting the Bullseye
Location
Vega de Alatorre, Veracruz, MEXICO
Date
09-10 Aug 2017
Intensity
Cat 1 (70 knots)
Partner
Solo
To be determined later…